$40,000
Harmony, MN 55939
MLS# 6800274

1 / 4
Property Description
Build your new home in Harmony! This lot offers the opportunity for a home with or without a basement. Spacious .47-acre lot, surveyed on the south edge of town, offer easy access and endless possibilities from gardening to room for outdoor fun and relaxation surveyed and all assessments paid. All assessments & property taxes are paid up to date by seller. This charming community is the ideal place to build your new home. Harmony offers a quality lifestyle with essential daily services, medical care, recreation, and FIBER OPTIC connections for your home and business along with a paved trail system, golfing, and freshwater trout streams. Guidance available connecting you to recommended builders and professionals to bring your vision to life! Plus, the City of Harmony is offering a New Home Cash Back Incentive of up to $20,000 toward your new home construction! A $5,000 buyer credit for accepted offer and closing on or before December 31, 2025, Buyer may use for closing costs, down payment or price reduction. Don’t miss this incredible opportunity — call today and start planning your dream home in Walnut Farms, Harmony!
Details
Maps
Documents
Contract Information
Owner is an Agent?: No
Auction?: No
Status: Active
Contingency: None
Current Price: $40,000
Original List Price: 40000
ListPrice: 40000
List Date: 2025-10-06
Office/Member Info
Association: SEMR
General Property Information
Comp Sale YN: No
Development: No
Drainage: Good
Lot Measurement: Acres
Multiple PIDs?: No
Plat Recorded: Yes
Yearly/Seasonal: Yearly
Zoning: Residential-Single Family
Lot Dimensions: 148 x 204
Acres: 0.47
Association Fee: 0
Location, Tax and Other Information
AssocFeeYN: No
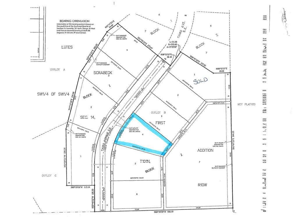
Legal Description: WALNUT FARMS FIRST ADDITION LOT-004 BLOCK-002 .47 AC LOT43 BLK 2 WALNUT FARMS 1ST ADD
Listing City: Harmony
Map Page: 999
Municipality: Harmony
School District: Fillmore Central
School District Phone: 507-765-3843
Zip Plus 4: 3769
Property ID Number: 150615000
Tax Year: 2024
Tax Amount: 286
In Foreclosure?: No
Potential Short Sale?: No
Lender Owned?: No
Directions & Remarks
Public Remarks: Build your new home in Harmony! This lot offers the opportunity for a home with or without a basement. Spacious .47-acre lot, surveyed on the south edge of town, offer easy access and endless possibilities from gardening to room for outdoor fun and relaxation surveyed and all assessments paid. All assessments & property taxes are paid up to date by seller.
This charming community is the ideal place to build your new home. Harmony offers a quality lifestyle with essential daily services, medical care, recreation, and FIBER OPTIC connections for your home and business along with a paved trail system, golfing, and freshwater trout streams.
Guidance available connecting you to recommended builders and professionals to bring your vision to life! Plus, the City of Harmony is offering a New Home Cash Back Incentive of up to $20,000 toward your new home construction!
A $5,000 buyer credit for accepted offer and closing on or before December 31, 2025, Buyer may use for closing costs, down payment or price reduction. Don’t miss this incredible opportunity — call today and start planning your dream home in Walnut Farms, Harmony!
Directions: South through Harmony on Main Ave, then left by firehall, then next left onto 3rd Ave SE
Assessments
Assessment Balance: 0
Assessment Installment: 0
Tax With Assessments: 286
Assumable Loan
Not Assumable: 1
Builder Information
Builder Restrictions: Open
Crop Type
Hay/Alfalfa: 1
Development Status
Subdivided: 1
Insurance Fee
Insurance Fee: 0
Internet Options
Fiber Optic: 1
Lease Details
Land Leased: Not Applicable
Lock Box Type
None: 1
Miscellaneous Information
Community Name: Walnut Farms
Homestead: No
Ownership
Fractional Ownership: No
Restriction/Covenants
Other: 1
Road Frontage
City Street: 1
Curbs: 1
Paved Streets: 1
Road Responsibility
Public Maintained Road: 1
Sale Options
Sell Entirely: 1
Sellers Terms
Cash: 1
Conventional: 1
Topography
Level: 1
Available Utilities
Broadband Available: 1
Cable Available: 1
Electricity Available: 1
Natural Gas Available: 1
None Connected: 1
Phone Available: 1
Sewer Available: 1
Underground Utilities Available: 1
Water Available: 1
Improvements
Curbs: 1
Paved Streets: 1
Public Road: 1
Land Inclusions
Survey: 1
Property SubType
Residential Lot: 1
Location Tax and Other Information
House Number: TBD (Lot 4 Blk2 )
Street Name: 3rd
Street Suffix: Avenue
Street Direction Suffix: SE
Postal City: Harmony
County: Fillmore
State: MN
Zip Code: 55939
Complex/Dev/Subdivision: Walnut Farms 1st Add
Property Features
Assumable Loan: Not Assumable
Available Utilities: Broadband Available; Cable Available; Electricity Available; Natural Gas Available; None Connected; Phone Available; Sewer Available; Underground Utilities Available; Water Available
Crop Type: Hay/Alfalfa
Development Status: Subdivided
Improvements: Curbs; Paved Streets; Public Road
Internet Options: Fiber Optic
Land Inclusions: Survey
Lock Box Type: None
Property SubType: Residential Lot
Road Frontage: City Street; Curbs; Paved Streets
Road Responsibility: Public Maintained Road
Sale Options: Sell Entirely
Sellers Terms: Cash; Conventional
Topography: Level
Listing Office: RE/MAX Select Properties
Last Updated: December - 01 - 2025
The data relating to real estate for sale on this web site comes in part from the Broker Reciprocity SM Program of the Regional Multiple Listing Service of Minnesota, Inc. The information provided is deemed reliable but not guaranteed. Properties subject to prior sale, change or withdrawal. ©2024 Regional Multiple Listing Service of Minnesota, Inc All rights reserved.


Seller Disclosure Walnut Farms.pdf